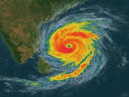
चक्रवात मोंथा दिखाएगा तांडव! इन इलाकों में भारी बारिश का अलर्ट
- दिल्ली राष्ट्रीय
Political Trust
- October 27, 2025
- 0
- 109
- 1 minute read
नई दिल्ली। मौसम विभाग ने बंगाल की खाड़ी में बन रहे चक्रवात ‘मोंथा’ के चलते आंध्र प्रदेश, पश्चिम बंगाल, ओडिशा और तमिलनाडु में 28 से 31 अक्तूबर के बीच भारी बारिश की चेतावनी जारी की है। मौसम विभाग ने बंगाल की खाड़ी में बन रहे चक्रवात ‘मोंथा’ के चलते आंध्र प्रदेश, पश्चिम बंगाल, ओडिशा और तमिलनाडु इसका असर देखने को मिलेगा। हालांकि, राज्य सरकार ने इससे निपटेने के लिए व्यापक एक्शन प्लान पहले से ही तैयार कर लिया है। मौसम विभाग के अनुसार 28 अक्तूबर की शाम काकीनाडा के पास मछिलीपट्टनम और कालिंगपट्टनम के बीच आंध्र तट को पार कर सकता है। इस दौरान हवाओं की रफ्तार 100 से 110 किलोमीटर प्रति घंटा तक पहुंचने की आशंका है। आंध्र प्रदेश सरकार ने राहत, खाद्यान्न, ईंधन और आवश्यक वस्तुओं की आपूर्ति सुनिश्चित करने के लिए सभी विभागों को अलर्ट कर दिया है।
राज्य के सभी सरकारी दुकानों में 26 अक्तूबर तक खाद्यान्न की आपूर्ति पूरी कर ली गई है। वहीं मंडल स्तर पर पर्याप्त स्टॉक रखा गया है। अन्य राज्यों ने भी राहत व जरूरी सामानों की आपूर्ति की तैयारियां पूरी करने की बात समाने आई है। खबरों की मानें तो ओडिशा सरकार ने राज्य में आपदा प्रबंधन की तैयारियां तेज कर दी हैं। मौसम विभाग ने राज्य के सभी 30 जिलों में 28 अक्तूबर से लगातार तीन दिन तक भारी बारिश होने का रेड अलर्ट जारी किया है। बता दे की बंगाल की खाड़ी में बना कम दबाव का क्षेत्र पश्चिम की ओर तेजी से बढ़ रहा है। मौसम विभाग के अनुसार, सोमवार से दक्षिण 24 परगना, झारग्राम, पूरबा (पूर्व) और पश्चिम (पश्चिम) मिदनापुर जिलों के कुछ इलाकों में तेज बारिश और गरज के साथ छींटे पड़ सकते हैं। जबकि 28 अक्तूबर को दक्षिण 24 परगना और पूर्व मिदनापुर जिलों में कई जगहों गरज-चमक के साथ बौछारें पड़ने की संभावना है, खबरों की मानें तो इन तटीय जिलों के एक-दो स्थानों पर भारी बारिश हो सकती है।
